Θεσσαλονίκη-AZK: Μετά από εννέα χρόνια, πράσινο φως για το Θύλακα Αγροτεχνολογίας

Σε 30.000 τ.μ., ανάπτυξη καινοτόμων δραστηριοτήτων - Το Π.Δ. και τα επόμενα βήματα του project

Κάνε κλικ και δες περισσότερο emakedonia.gr στην αναζήτηση της Google

Πρόσθεσέ το στην Google

Ολόκληρα εννέα χρόνια απαιτήθηκαν για να πάρει έγκριση η ίδρυση του Θύλακα Υποδοχής Καινοτόμων Δραστηριοτήτων, της Αλεξάνδρειας Ζώνης Καινοτομίας, με το Π.Δ. (ΦΕΚ αρ. φύλλου 720, 13/9/2023 Τεύχος Δ) που επίσης ορίζει χρήσεις γης και όρους δόμησης, για το hub έρευνας και καινοτομίας στην Αγροτεχνολογία, το οποίο αναμένεται να δημιουργηθεί στη Θέρμη Θεσσαλονίκης.

Λίγο ακόμη και θα συμπληρώνονταν δέκα χρόνια, από τότε, από το 2014 δηλαδή, όταν μετά από πρωτοβουλία του τότε προέδρου της Ζώνης και προέδρου του ΣΕΒΕ, Δημήτρη Λακασά, παραχωρήθηκε από το Υπουργείο Αγροτικής Ανάπτυξης, στην Α.Ζ.Κ., έκταση 60 στρεμμάτων στο πρώην ΕΘΙΑΓΕ και νυν ΕΛΓΟ – Δήμητρα.

Η Α.Ζ.Κ., τώρα που εξασφάλισε το Π.Δ. για το Θύλακα (ΘΥΚΔ), πρέπει να επιταχύνει ρυθμούς, αλλά και να ασκήσει πιέσεις προς φορείς και κυβέρνηση, για να επιτύχει τα εξής δύο προαπαιτούμενα:

- Nα πάρει παράταση της παραχώρησης πέραν του 2050 (σ.σ. μαζί με την αρχική δεκαετή πρόβλεψη για παράταση)

- Να προχωρήσει στην εκπόνηση μίας μελέτης βιωσιμότητας για το Θύλακα, εντοπίζοντας παράλληλα συγκεκριμένες εταιρείες που θα έχουν ενδιαφέρον να εγκατασταθούν στο ΘΥΚΔ, συνεπενδύοντας σε αυτό

- Να επιτύχει να εξασφαλίσει τα περίπου 5 εκατ. ευρώ που υπολογίζεται ότι θα απαιτηθούν για την κατασκευή βασικών υποδομών όπως και του κτιρίου διοίκησης. Να σημειωθεί ότι ο αναπτυξιακός νόμος, έρχεται κουτί στο project της ΑΖΚ, αφού προβλέπει σημαντικές ενισχύσεις για τις εταιρείες που θα εγκατασταθούν σε Θύλακες Υποδοχής Καινοτόμων Δραστηριοτήτων.

azk-thykd2.jpg

Τι προβλέπει το Π.Δ.

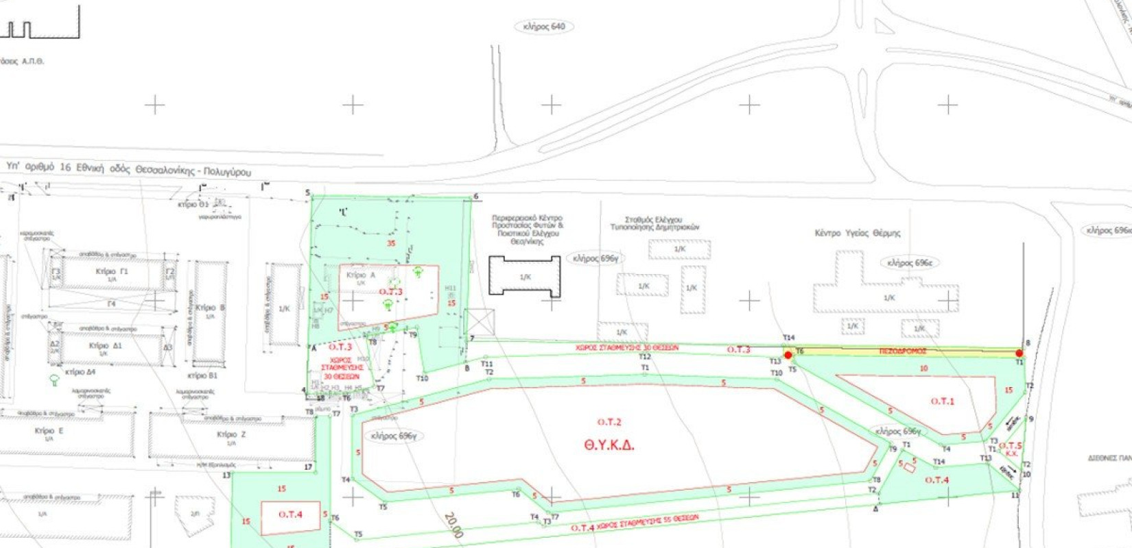
Η παραχωρηθείσα έκταση, όμορη σε ινστιτούτα του ΕΛΓΟ Δήμητρα, είναι κοντά στο Κέντρο Υγείας Θέρμης και στις εγκαταστάσεις του Διεθνούς Πανεπιστημίου.

Aπό την έκταση των 60 στρεμμάτων που παραχωρήθηκε στην ΑΖΚ, σε εκτός σχεδίου περιοχή της Δ.Ε. Θέρμης, πολεοδομούνται τα 41 στρέμματα (40.965 τ.μ.), επειδή δεν συμπεριλήφθηκαν στο Θύλακα, υφιστάμενα παλαιά κτίσματα, των οποίων η κατάσταση δεν είναι καλή.

Σε αυτά τα 41 στρέμματα, όπως ρυμοτομούνται, καθορίζονται κοινόχρηστοι χώροι, δρόμοι και πεζόδρομοι, χώροι στάθμευσης και πέντε (5) οικοδομικά τετράγωνα, με διαφορετικούς συντελεστές δόμησης ένα έκαστο. Συνολικά υπολογίζεται ότι η δόμηση θα φτάσει στα περίπου 30.000 τ.μ., ενώ η κάλυψη στο ακίνητο δεν θα ξεπερνάει το 30%.

Στο Θύλακα θα μπορούν να αναπτυχθούν «παραγωγικές δραστηριότητες χαμηλής και μέσης όχλησης», οπότε:

Στο Ο.Τ.1 θα δημιουργηθεί το κτίριο διοίκησης, αίθουσες συναντήσεων, μικρός εκθεσιακός χώρος, αναψυκτήριο, συνεδριακός χώρος, παιδικός σταθμός, γυμναστήριο.

Στα Ο.Τ. 2 και Ο.Τ. 3, θα δημιουργηθούν χώροι για καινοτόμες δραστηριότητες, γραφεία, εργαστήρια πιστοποίησης προϊόντων, χώροι έρευνας, καινοτομίας και παραγωγής, ερευνητικά μικρά θερμοκήπια για την εφαρμογή των ερευνητικών αποτελεσμάτων.

Στο Ο.Τ. 4 θα κατασκευαστούν βοηθητικοί χώροι και συγκεκριμένα αποθηκευτικοί χώροι, εγκαταστάσεις τεχνικών υποδομών, Εγκαταστάσεις Επεξεργασίας Λυμάτων (Ε.Ε.Λ.) (αντλιοστάσιο, γεννήτριες, μηχανολογικές εγκαταστάσεις, κ.λπ.).

Στο Ο.Τ. 5, ο χώρος θα είναι κοινόχρηστος.

Επειδή ο ΘΥΚΔ είναι ένα πολύ μικρότερο σε έκταση έργο από το πάρκο τεχνολογίας και καινοτομίας Thess INTEC, που επίσης έχει υπό την σκέπη της η Α.Ζ.Κ. , θα είναι και ευκολότερη η υλοποίησή του, μέσω μίας σύμπραξης τύπου ΣΔΙΤ, είτε σε ότι αφορά την πλευρά του Δημοσίου για την κατασκευή των βασικών υποδομών, είτε σε ότι αφορά την πλευρά των ιδιωτών, εταιρειών του ευρύτερου κλάδου της Αγροτεχνολογίας – Αγροδιατροφής.

Το επόμενο βήμα για την Αλεξάνδρεια Ζώνη Καινοτομίας Α.Ε., είναι, να προχωρήσει στην εκπόνηση μίας μελέτης βιωσιμότητας, έχοντας πλέον προσελκύσει συγκεκριμένες εταιρείες ή και ερευνητικά εργαστήρια, που θα επιθυμούν να εγκατασταθούν στο Θύλακα ή να εγκαταστήσουν σε αυτόν κάποιο τμήμα τους, που εστιάζει στο R&D.

Κάνε κλικ και δες περισσότερο emakedonia.gr στην αναζήτηση της Google

Πρόσθεσέ το στην Google
Loader
ESPA